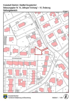
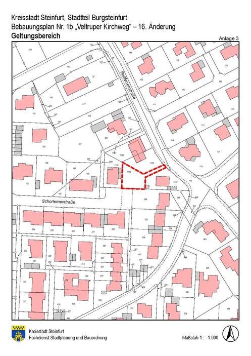
Bebauungsplan Nr. 1b "Veltruper Kirchweg" - 16. Änderung der Kreisstadt Steinfurt (Stadtteil Burgsteinfurt)
Der 16. Änderungsentwurf des Bebauungsplanes Nr. 1b "Veltruper Kirchweg" der Kreisstadt Steinfurt liegt gemäß § 13a (2) Nr. 1 i.V.m. § 13 Baugesetzbuch (BauGB) nebst Begründung sowie den wesentlichen, bereits vorliegenden umweltbezogenen Informationen in der Zeit vom 16.09.2022 bis zum 24.10.2022 zur Einsichtnahme und zur Unterrichtung über die allgemeinen Ziele und Zwecke der Planung sowie die voraussichtlichen Auswirkungen für die betroffenen Bürgerinnen und Bürger, aber auch für Kinder und Jugendliche, öffentlich aus.
Es besteht die Möglichkeit, innerhalb dieser Auslegungsfrist im Rathaus, Fachdienst Stadtplanung & Bauordnung, Äußerungen z. B. per E-mail, schriftlich oder mündlich zu Protokoll vorzubringen. Bitte melden Sie sich unter Telefon-Nummer 0 25 52 / 925 - 238 oder 239 an. Die gesetzlich vorgeschriebene Auslegungsfrist ist aufgrund der Herbstferien um 1 Woche ausgedehnt worden.
sowie nach Vereinbarung


