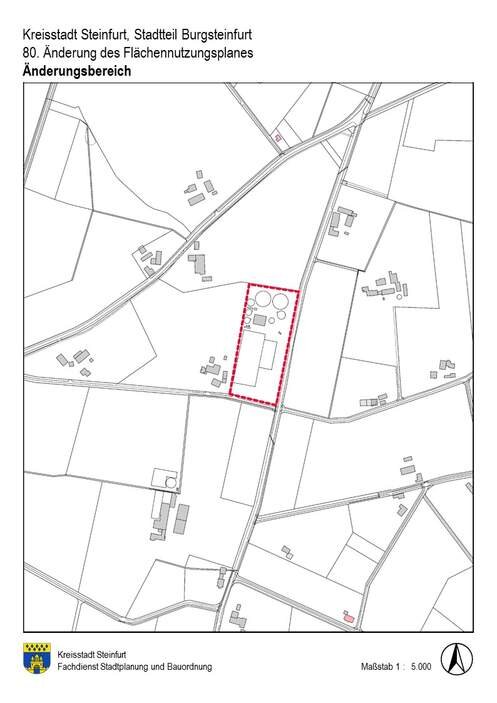
80. Änderung des Flächennutzungsplanes im Bereich der 1. Änderung des Bebauungsplanes Nr. 72 "Biogasanlage Hollich" der Kreisstadt Steinfurt (Stadtteil Burgsteinfurt)
Der 80. Änderungsentwurf des Flächennutzungsplanes der Kreisstadt Steinfurt im Bereich der 1. Änderung des Bebauungsplanes Nr. 72 "Biogasanlage Hollich" liegt gemäß § 3 (2) Baugesetzbuch (BauGB) nebst Begründung (incl. Umweltbericht) sowie den wesentlichen, bereits vorliegenden umweltbezogenen Informationen und Stellungnahmen in der Zeit vom 25.06.2021 bis zum 06.08.2021 zur Einsichtnahme und zur Unterrichtung über die allgemeinen Ziele und Zwecke der Planung sowie die voraussichtlichen Auswirkungen für die betroffenen Bürgerinnen und Bürger, aber auch für Kinder und Jugendliche, öffentlich aus.
Es besteht die Möglichkeit, innerhalb dieser Auslegungsfrist im Rathaus, Fachdienst Stadtplanung & Bauordnung, Äußerungen z. B. per E-mail, schriftlich oder mündlich zu Protokoll vorzubringen.
Aufgrund der dynamischen Ausbreitung des Corona-Virus sind Besuche im Rathaus aktuell bis auf unbestimmte Zeit in der Zeit
Montag bis Freitag 08.00 bis 12.00 Uhr
Montag u. Donnerstag 14.00 bis 16.00 Uhr
nur nach telefonischer Vereinbarung möglich. Bitte melden Sie sich unter Telefon-Nummer 0 25 52 / 925 - 238 oder 239 an. Die gesetzlich vorgeschriebene Auslegungsfrist ist aufgrund der besonderen Umstände in Ausübung des pflichtgemäßen Ermessens um 2 Wochen ausgedehnt worden.
sowie nach Vereinbarung


