Schnellnavigation Seitenkopf leer Inhaltsbereich Navigation Seitenfuss
Seitenkopf
zum Seitenanfang
Flag of Germany
Google Translate

Um unsere Website in anderen Sprachen präsentieren zu können, arbeiten wir mit Google-Translate. Mit der Verwendung von Google-Translate verlassen Sie unsere technische Infrastruktur und übertragen Daten an die Server von Google. Dies geschieht, sobald Sie den Button JA anklicken. Wir haben keinen Einfluss auf die Verarbeitung Ihrer Daten durch Google. Es kann nicht ausgeschlossen werden, dass Ihre Profildaten genutzt und/oder an Dritte weitergegeben werden. Wechseln Sie nur zu Google-Translate, wenn Sie sich dieser Auswirkungen bewusst und damit einverstanden sind. Klicken Sie auf den Button NEIN, wenn Sie nicht möchten, dass Ihre Daten an Google übermittelt werden.

In order to present our website in other languages, we use Google-Translate. By using Google-Translate you leave our technical infrastructure and transmit data to servers of Google. This happens as soon as you click the YES button. We have no influence on the processing of your data by Google. It can not be ruled out that your profile data will be used and / or passed on to third parties. Only switch to Google-Translate if you are aware of these effects. Click the NO button if you are not ready to submit your data to Google.

Щоб мати можливість представити наш веб-сайт іншими мовами, ми працюємо з Google Translate. Використовуючи Google Translate, ви залишаєте нашу технічну інфраструктуру та передаєте дані на сервери Google. Це відбувається, як тільки ви натискаєте кнопку ТАК. Ми не маємо впливу на обробку ваших даних Google. Не можна виключити, що дані вашого профілю будуть використані та/або передані третім особам. Переходьте на Google Translate, лише якщо ви усвідомлюєте ці наслідки та згодні з ними. Натисніть кнопку НІ, якщо ви не хочете, щоб ваші дані передавалися Google.

Ja (Yes) Nein (No)

Etwas melden

Newsletter

  • Bürger
    • Bürgerservice
      • Was erledige ich wo von A-Z

Aufstellung des Bebauungsplanes Nr. 48c - Neustraße-Ost (Steinfurt-Borghorst)

Inhaltsbereich
Info
Zuständige Abteilung
Servicezeiten
Gebühren
Formulare / Downloads
Sonstiges

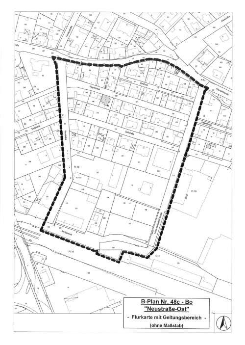
Der Aufstellungsentwurf des Bebauungsplanes Nr. 48c "Neustraße-Ost" der Kreis-stadt Steinfurt liegt gemäß § 3 Abs. 2 Baugesetzbuch (BauGB) nebst Begründung (inkl. Umweltbericht, Artenschutzvorprüfung Stufe I und Schalltechnische Untersuchung) in der Zeit vom 29.11.2013 bis 10.01.2014 (einschließlich) zur Einsichtnahme für die Bürgerinnen und Bürger, aber auch für Kinder und Jugendliche, öffentlich aus.

Jedermann hat die Gelegenheit zur Äußerung und Erörterung. Es wird darauf hingewiesen, dass das Rathaus in der Zeit vom 24.12.2013 bis zum 01.01.2014 (einschließlich) geschlossen ist.

Es besteht die Möglichkeit, innerhalb dieser Auslegungsfrist während der Dienststunden im Rathaus, Fachdienst Stadtplanung , Äußerungen schriftlich oder mündlich zu Protokoll vorzubringen.

Übersichtsplan BPlan 48c - Neustraße-Ost
Flurkartenausschnitt BPlan 48c - Neustraße-Ost



Zeiger neutral - blau Fachdienst Stadtplanung & Bauordnung
Rathaus der Kreisstadt Steinfurt
Emsdettener Straße 40
48565 Steinfurt

Telefon
02552 / 925-0
E-Mail
info@stadt-steinfurt.de

Zeiger neutral - blau Fachdienst Stadtplanung & Bauordnung
Montag:
von 08:00 bis 12:00 Uhr
und 14:00 bis 16:00 Uhr
Dienstag:
von 08:00 bis 12:00 Uhr
Mittwoch:
von 08:00 bis 12:00 Uhr
Donnerstag:
von 08:00 bis 12:00 Uhr
und 14:00 bis 16:00 Uhr
Freitag:
von 08:00 bis 12:00 Uhr

sowie nach Vereinbarung


 

Kontakte:

N. N. (Sachbearbeiter)
Stadtplanung Steinfurt-Borghorst
vCard
Telefon 02552 / 925-240

leer
Seitenfuss

Anschrift

Rathaus der Kreisstadt Steinfurt
Emsdettener Straße 40
48565 Steinfurt

 
Servicezeiten
Bankverbindungen

Kontakt

Telefon: 02552 / 925-0
Telefax: 02552 / 925-390
info@stadt-steinfurt.de

Elektronischer Zugang (DE-Mail)

Häufig gesucht

  • Notruf/Notdienste/
    Notfallvorsorge
  • Amtsblatt
  • Stellenangebote
  • Abfallbeseitigung & Abfallkalender
  • Bauantrag online

Funktionen

  • Administration
  • Impressum
  • Datenschutz
  • Barrierefreiheit
  • Kontakt
  • Bildnachweise
  • Sitemap
Besuchen Sie uns auch hier:
  • Facebookseiten der Kreisstadt Steinfurt
  • Steinfurt Tweet
  • Instagram
Navigation
  • Servicezeiten
  • Newsletter
  • Mängelmeldung online
  • Mängelmeldung Straßenbeleuchtung
  • Meldung Eichenprozessionsspinner
  • Informationen Notfallvorsorge
  • Bürger
    • Aktuelles
      • Notruf/Notdienste
      • Pressemitteilungen
      • FAQ zur Gelben Tonne
      • Verkehrsinformationen
      • regionale Medien
      • Amtsblatt ab 2018 [externer Link], Link öffnet neues Fenster
      • Amtsblatt 2003 - 2017
      • Angebote & Aktionen
      • ISEK: Borghorst | Burgsteinfurt im Dialog
        • Ergebnisse Innenstadtforum
        • Ergebnisse Jugendworkshop
      • Bürgersprechstunde der Bürgermeisterin
      • Ortsrecht & Satzungen
      • Stellenangebote
      • Veranstaltungstipp
      • Veröffentlichungen
      • Integration
      • Zahlen, Daten, Fakten
      • Mobilität in Steinfurt
      • Pendlernetzwerk drive2day.de
    • Bürgerservice
      • Was erledige ich wo von A-Z
        • Abfallberatung
        • Bauantrag online
        • Mietspiegel
        • Online-Fundbüro
      • Informationen zur Grundsteuerreform
      • Finanzielle Unterstützung in Krisenzeiten
        • SGB II - Grundsicherung für Arbeitssuchende
        • SGB XII (Grundsicherung im Alter und bei Erwerbsminderung)
        • Wohngeld
        • Kinderzuschlag
      • Formulare & Downloads
        • Bürgerantrag für Anregungen und Beschwerden
        • Arbeitslosengeld II
        • Bauen, Planen, Umwelt
        • KFZ-Wunschkennzeichen
        • Soziales
        • Wohngeld [externer Link], Link öffnet neues Fenster
      • Lebenslagen
      • Kontakte
      • Fachdienste & Abteilungen
      • Verwaltungsgliederung
      • Servicezeiten
        • Online-Terminreservierung [externer Link], Link öffnet neues Fenster
      • Kindertagesbetreuung
      • Behörden & Einrichtungen
      • Städte & Gemeinden im Kreis Steinfurt
      • Traumhochzeiten [externer Link], Link öffnet neues Fenster
      • Mobilität in Steinfurt
      • Umzugsratgeber
    • Bildung & Leben
      • Arbeit & Arbeitsmarkt
      • Bäder der StEIn GmbH
      • Gesundheit
      • Kinder & Jugend
      • Kinderbetreuung
      • Kirchen & Religionsgemeinschaften
      • Kunst & Kultur
      • Pflegeangebote in Steinfurt
      • Schulen & Bildung
      • Sport & Spiel
        • Sporthallenbelegungen
      • Vereine & Institutionen
    • Planen, Bauen & Wohnen
      • Baugenehmigung
        • Bauantrag online
      • Baugrundstücke
      • Denkmalschutz und Denkmalpflege
        • Denkmalschutz
        • Denkmalpflege
        • Digitale Denkmalübersicht
        • Jüdischer Friedhof [externer Link], Link öffnet neues Fenster
      • Integriertes städtebauliches Entwicklungskonzept
      • Mietspiegel & Mietwertrechner
      • Bauleitplanung
        • Interaktive Bauleitplanübersicht
        • Aktuelle Bürgerbeteiligungen
        • Bauleitpläne und sonstige Satzungen im Verfahren
        • Rechtskräftige Bauleitpläne und sonstige Satzungen
        • Grundlagen der Stadtplanung
        • Open Data im Bereich Bauleitplanung in Steinfurt
        • Lärmaktionsplan
      • Immobilienbörse
      • Steinfurter Firmen rund ums Bauen
      • Umzugsratgeber
      • Neugestaltung Stadtachse Borghorst
        • Aktuelle Meldungen
    • Steinfurt Web 2.0 / APPs
      • Apps
      • Steinfurt-APP [externer Link], Link öffnet neues Fenster
      • Abfall-APP [externer Link], Link öffnet neues Fenster
      • Ratsinformations-APP
      • Facebook
      • Facebook Stadtverwaltung [externer Link], Link öffnet neues Fenster
      • Facebook Stadtbücherei [externer Link], Link öffnet neues Fenster
      • Facebook Steinfurter Klimaoffensive [externer Link], Link öffnet neues Fenster
      • Facebook Zusammenleben in Steinfurt [externer Link], Link öffnet neues Fenster
      • Facebook Bagno Sound Garden [externer Link], Link öffnet neues Fenster
      • Instagram (Registrierung erforderlich!)
      • Instagram Stadtverwaltung [externer Link], Link öffnet neues Fenster
      • Instagram Stadtbücherei Steinfurt [externer Link], Link öffnet neues Fenster
      • Instagram Steinfurter Klimaoffensive [externer Link], Link öffnet neues Fenster
      • Instagram Bagno Konzertgalerie [externer Link], Link öffnet neues Fenster
      • Twitter
      • Steinfurt Tweet [externer Link], Link öffnet neues Fenster
  • Politik & Verwaltung
    • Rathaus
      • Bürgermeister
      • Bürgersprechstunde des Bürgermeisters
      • Anschrift
      • Kontakte
      • Amtsblatt ab 2018 [externer Link], Link öffnet neues Fenster
      • Amtsblatt 2003 - 2017
      • Ausschreibungen
      • Haushaltsinformationen
        • Interaktiver Haushalt
        • Interaktive Jahresrechnung
      • Karriere
        • Stellenangebote
          • Bundesfreiwilligendienst
        • Ausbildung
          • Downloads
      • Organigramm
      • Ortsrecht & Satzungen
      • Zahlen, Daten, Fakten
        • Strukturen
      • Städte & Gemeinden im Kreis Steinfurt
      • Verwaltung intern
    • Ratsinformationssystem
      • Fachdienste [externer Link], Link öffnet neues Fenster
      • Gremien [externer Link], Link öffnet neues Fenster
      • Fraktionen [externer Link], Link öffnet neues Fenster
      • Personen [externer Link], Link öffnet neues Fenster
      • Vorlagen [externer Link], Link öffnet neues Fenster
      • Sitzungen [externer Link], Link öffnet neues Fenster
      • Recherche [externer Link], Link öffnet neues Fenster
      • Dokumente [externer Link], Link öffnet neues Fenster
        • Allgemeine Verwaltung [externer Link], Link öffnet neues Fenster
        • Anträge/Anfragen [externer Link], Link öffnet neues Fenster
      • Ratsinformations-APP
      • Wahlergebnisse
      • Login zum Sitzungsmanagement [externer Link], Link öffnet neues Fenster
    • Klimaschutz und Umwelt
      • Team Klimaschutz
      • Bereiche der Klimaoffensive
      • Umweltschutz/Biodiversität
      • Kommunale Wärmeleitplanung
      • Klimabeirat
      • Förderprogramme
      • Aktuelle Projekte
      • Mitmachen
      • Links und Downloads
      • Partner
      • Spendenaktion Zukunftsbäume
      • EnergieMonitor Steinfurt
      • Mobilität in Steinfurt
      • Nachhaltige städtische Mobilität für alle
      • Stadtradeln 2025
      • Online-Broschüre [externer Link], Link öffnet neues Fenster
    • Klimaanpassungsmanagement
      • Klimaanpassung
      • Ideenkarte Klimafolgenanpassung
      • Starkregenvorsorge
      • Hitzeschutz
      • UV-Schutz
      • Aktion Refill
      • Umfrage Trinkwasserbrunnen
    • Stadtarchiv
      • Serviceangebote
        • Ahnenforschung
        • Führungen
        • Historische Zeitungen
        • Historische Bildungsarbeit und Archivpädagogik
        • Personenstandsregister
        • Publikationen
      • Stadtgeschichte
      • Borghorst
        • Damenstift
        • Textilindustrie
      • Burgsteinfurt
        • Edelherren, Grafen, Fürsten
        • Hohe Schule
        • Johanniterkommende
      • Stadtwappen
      • Linksammlung
    • Städtepartnerschaften
      • Liedekerke (Belgien)
      • Neubukow (Mecklenburg-Vorpommern)
      • Rijssen-Holten (Niederlande)
    • Wahlen
      • Wahlamt
      • Kommunalwahlen
        • Wahlergebnisse
      • Landtagswahl
        • Wahlergebnisse
      • Bundestagswahl
        • Wahlergebnisse
      • Europawahl
        • Wahlergebnisse
      • Wahlbezirke
      • Wahlergebnisse
      • Wahlhelfende
    • Breitbandausbau im Außenbereich
  • Wirtschaft & Kultur
    • Das Team
    • Wirtschaftsförderung
    • Innenstadt
    • Kultur
    • Liegenschaften
    • Standort, Kooperationen & Sonstiges
      • Standort
        • Standortbeschreibung
        • Strukturen
        • Lage & Erreichbarkeit
        • Einkaufen in Steinfurt
          • 1a-Einkaufsstadt
          • Werksverkauf
        • Bildung & Leben
        • Hochschul-Suche [externer Link], Link öffnet neues Fenster
        • Jobbörsen
        • Mitfahrzentralen
        • verkehrsmittelvergleich.de [externer Link], Link öffnet neues Fenster
      • Ansiedlungsangebote
        • Gewerbeflächen [externer Link], Link öffnet neues Fenster
        • Gewerbeimmobilien
      • Kooperationen & Partner
        • (Ge-)Werbegemeinschaften
        • WESt [externer Link], Link öffnet neues Fenster
        • Train [externer Link], Link öffnet neues Fenster
        • einheitlicher Ansprechpartner
        • Ausbildungsportal Local X-Perts [externer Link], Link öffnet neues Fenster
        • BVMW [externer Link], Link öffnet neues Fenster
        • IHK [externer Link], Link öffnet neues Fenster
        • HWK [externer Link], Link öffnet neues Fenster
        • WVS e. V. [externer Link], Link öffnet neues Fenster
        • Frauennetzwerk in Steinfurt
      • Fachhochschule (FH)
        • Chemieingenieurwesen [externer Link], Link öffnet neues Fenster
        • Elektrotechnik und Informatik [externer Link], Link öffnet neues Fenster
        • Maschinenbau [externer Link], Link öffnet neues Fenster
        • Energie-Gebäude-Umwelt [externer Link], Link öffnet neues Fenster
        • Physikalische Technik [externer Link], Link öffnet neues Fenster
        • Institut für Technische Betriebswirtschaft [externer Link], Link öffnet neues Fenster
      • Sonstiges
        • Ehrenamtskarte
        • Die Steinfurter - Steinfurter Gutschein [externer Link], Link öffnet neues Fenster
        • Refill Steinfurt [externer Link], Link öffnet neues Fenster
    • Digitaler Verteiler
  • Freizeit in Steinfurt erleben
    • Veranstaltungen
      • Veranstaltungskalender (Open Data)
      • Bagno-Konzertgalerie
      • Bagno Sound Garden
      • Theaterprogramm Rheine
      • Kinoprogramm
    • Stadtbücherei
      • Aktuelles
      • Wir über uns
      • Anmeldung & Gebühren
      • Online-Katalog (OPAC) & Konto
      • Digitale Angebote
      • Angebote für Kindergärten & Schulen
      • Veranstaltungen & Termine
      • im Web 2.0
        • Blog der Stadtbücherei [externer Link], Link öffnet neues Fenster
        • Facebook [externer Link], Link öffnet neues Fenster
      • Downloads
      • Links
        • Imagefilme
      • Links für Kinder
      • Förderverein
    • Freizeit, Kultur & Sport
      • Aktion Ferienspaß
        • Veranstaltungsübersicht [externer Link], Link öffnet neues Fenster
        • Für Veranstalter
      • Bäder der StEIn GmbH
      • Einkaufen in Steinfurt
      • Kinder & Jugend
        • Kulturrucksack NRW
      • Kirchen & Religionsgemeinschaften
      • KulturForumSteinfurt
      • Kunst & Kultur
        • Atlas der Mitten
        • Museen
        • Friedrich-Hofmann-Medaille
        • Kulturrucksack
      • Münsterlandradweg
      • Spielflächen in Steinfurt-Borghorst
        • Albertus-Magnus-Weg
        • Alleestraße/Ecke Altemarktstraße
        • Auf dem Windhorst
        • Böddings Hof
        • Bonifatiusweg
        • Breslauer Straße
        • Dörper Feldweg
        • Eichenweg
        • Elisabethstraße
        • Fröbelstraße
        • Grottenkamp/Waldring
        • Haselstiege - Sprayfläche für Graffiti
        • Im Wiesengrund
        • Kamers Kamp
        • Klosterstraße
        • Langhansstraße
        • Lärmschutzwall Grottenkamp IV
        • Ludgeristraße
        • Niedenkampstraße
        • Pottkamp
        • Ringstraße
        • Sandweg/Münsterstiege
        • Straßburger Straße
        • Theodor-Fontane-Straße
        • Thüringer Weg
        • Vereinsstraße/Dreiningfeldstraße
        • Von-Kleist-Straße
        • Weststraße
        • Wismarer Straße
        • Woortstraße
      • Spielflächen in Steinfurt-Burgsteinfurt
        • Bagno-Quadrat
        • Balduinstraße
        • Engelings Haar
        • Horstmarer Straße/Citadelle
        • Heinestraße
        • Kalkwall
        • Königsberger Straße
        • Melkeweg
        • Timmerkamp
        • Rudolfstraße
        • Schorlemerstraße
        • Skateanlage im Bewegungspark
      • Sport & Spiel
        • Sporthallenbelegungen
    • Bürgerengagement
      • Ehrenamtskarte
      • Beirat für Menschen mit Behinderung
      • Familien in Steinfurt
        • Familienbündnis Steinfurt
        • Guter Start NRW
        • Finanzielles & Rechtliches
        • Checklisten vor & nach der Geburt
        • Betreuung & Bildung
        • Kreis Steinfurt - STeinfurt ElternPortal - STEP
        • Freizeit in Steinfurt
        • Stillfreundliche Kommune
        • Spielplätze in Steinfurt
      • Bürgerbus Steinfurt
      • Freiwillige Feuerwehr
      • Kirchen & Religionsgemeinschaften
      • Netzwerk Selbsthilfe & Ehrenamt
      • Seniorenbeirat
        • Aktuelles
      • Stadtmarketing
      • Steinfurter Tafel
      • Willkommenskultur
    • Traumhochzeiten [externer Link], Link öffnet neues Fenster
  • Tourismus
    • Touristeninformationen [externer Link], Link öffnet neues Fenster
      • Steinfurt Erleben
      • Bagno 1790 Digital
      • Die Steinerne Furt
      • Münsterlandradweg
    • Stadtarchiv
      • Serviceangebote
        • Ahnenforschung
        • Führungen
        • Historische Zeitung
        • Historische Bildungsarbeit und Archivpädagogik
        • Personenstandsregister
        • Publikationen
        • Anfragen an das Stadtarchiv
      • Stadtgeschichte
      • Borghorst
        • Damenstift
        • Textilindustrie
      • Burgsteinfurt
        • Edelherren, Grafen, Fürsten
        • Hohe Schule
        • Johanniterkommende
      • Stadtwappen
      • Linksammlung
    • Stadtplan
    • Anreise
      • Anfahrtskizze
      • Bürgerbus Steinfurt
      • Die Bahn
      • Fahrplanauskunft Münsterland
      • Flughafen Münster-Osnabrück
      • verkehrsmittelvergleich.de
    • Märkte & Veranstaltungen
      • Anmeldung Märkte [externer Link], Link öffnet neues Fenster
      • Anmeldung Flohmarkt [externer Link], Link öffnet neues Fenster
  • Integration - Zusammenleben in Steinfurt
    • Das Team
    • Lenkungsgruppe Integration
    • Integrationskonzept
    • Internationale Wochen gegen Rassismus
    • Interkuturelle Wochen
    • Kita-Lotse Integration
    • Interreligiöser Kalender [externer Link], Link öffnet neues Fenster
    • Links und Downloads
    • Spenden
    • 10 Jahre Lenkungsgruppe Integration