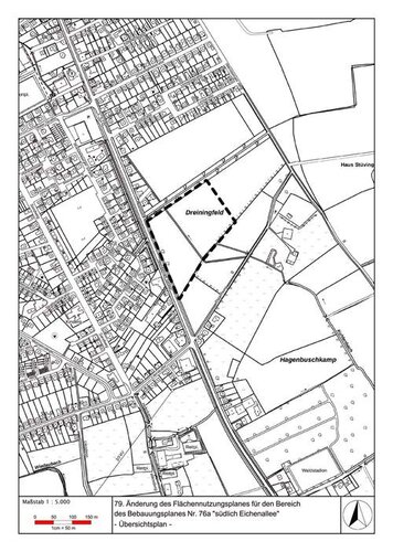
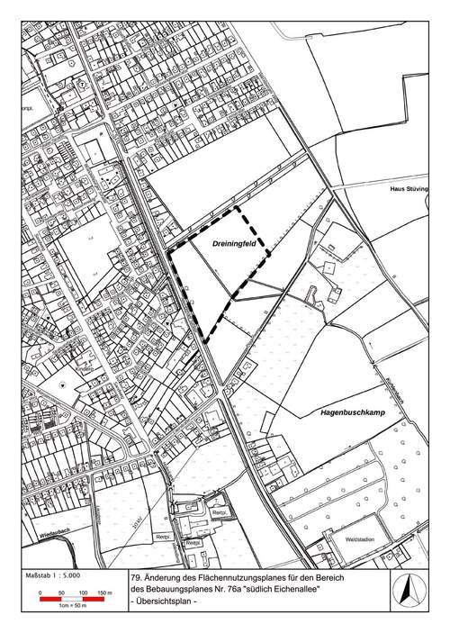
79. Änderung des Flächennutzungsplanes für den Bereich des Bebauungsplanes Nr. 76a "südlich Eichenallee" der Kreisstadt Steinfurt (Stadtteil Borghorst)
Der 79. Änderungsentwurf des Flächennutzungsplanes für den Bereich des Bebauungsplanes Nr. 76a "südlich Eichenallee" der Kreisstadt Steinfurt liegt gem. § 3 (2) Baugesetzbuch (BauGB) nebst Begründung (inkl. Umweltbericht) sowie den wesentlichen, bereits vorliegenden umweltbezogenen Informationen in der Zeit vom 19.02.2021 bis 06.04.2021 (einschließlich) zur Einsichtnahme und zur Unterrichtung über die allgemeinen Ziele und Zwecke der Planung sowie die voraussichtlichen Auswirkungen für die betroffenen Bürgerinnen und Bürger, aber auch für Kinder und Jugendliche, öffentlich aus. Jedermann hat die Gelegenheit zur Äußerung und Erörterung.
Es besteht die Möglichkeit, innerhalb dieser Auslegungsfrist während der Dienststunden im Rathaus, Fachdienst Stadtplanung & Bauordnung, Äußerungen z. B. schriftlich, per E-Mail oder mündlich zu Protokoll vorzubringen.
Aufgrund der dynamischen Ausbreitung des Corona-Virus sind Besuche im Rathaus aktuell bis auf unbestimmte Zeit in der Zeit
Montag bis Freitag 08:00 bis 12:00 Uhr
Montag und Donnerstag 14:00 bis 16:00 Uhr
nur nach telefonischer Vereinbarung möglich. Bitte melden Sie sich unter Telefon-Nummer 02552 / 925-238 oder 240 an. Die gesetzlich vorgeschriebene Auslegungsfrist ist aufgrund der besonderen Umstände in Ausübung des pflichtgemäßen Ermessens um 2 Wochen ausgedehnt worden.
sowie nach Vereinbarung


